Mein Garten und ich
- Rioja
- apasionado

- Beiträge: 913
- Registriert: Mi 20. Okt 2010, 02:36
Re: Mein Garten und ich
Hallo zusammen
Möchte nun mein letztes Versprechen einlösen und euch endlich mal in unseren Garten schauen lassen. Ihr wisst, dass wir Ende April zu Hause angekommen sind, ebenfalls, dass wir zwischenzeitlich zwei Wochen Orts abwesend waren. Während dieser Zeit habe ich bei den wenigen Besuchen auch Bilder gemacht und vom sich entwickelnden Garten. Bitte Bild anklicken um zu vergrössern.
Teil 1
Das Blumenbett stand in voller Blüte. Die Tulpen, Osterglocken und Narzissen blühten zu unserem Empfang.
Die Christrosen in verschiedenen Farbvarianten waren zwar schon fast verblüht, Doch selbst nach der Vollblüte weiss diese Blume zu begeistern, selbst sogar mit dem Samenstand.
Hier orange Tulpen
Auch die Apfelbäume blühen sehr gut und das schöne Wetter lässt die Bienen fliegen vom nahen Bienenhaus. Die „Dinger“ an der Haltestange sind Stücke von Feuerwehrschläuchen, gefüllt mit Holzwolle. In dieser hausen Orschlüpfer und helfen bei der Schädlingsbekämpfung. Hier bei den Obstbäumen in erster Linie die Blattläuse.
Noch einmal ein Blick aufs Blumenbeet.
Nochmals eine Tulpe von oben.
Der Bärlauch ist „vorbei“, er blüht schon. Die schönen Blumen verschönern jeweils kleine Blumengestecke. Übrigens soll man den Bärlauch ab Blüte nicht mehr ernten. Bei mir hat es unterhalb der Altpflanzen stets Jungbärlauch von den letztjährigen Samen. Diese kleinen Pflanzen eignen sich, die Bärlauchsaison etwas zu verlängern- Hinter dem Bärlauch, noch vor dem Farn blüht auch schon die akeleiblättrige weisse Wiesenraute. Verdeckt blüht dieses Jahr auch zum ersten Mal eine rosarote.
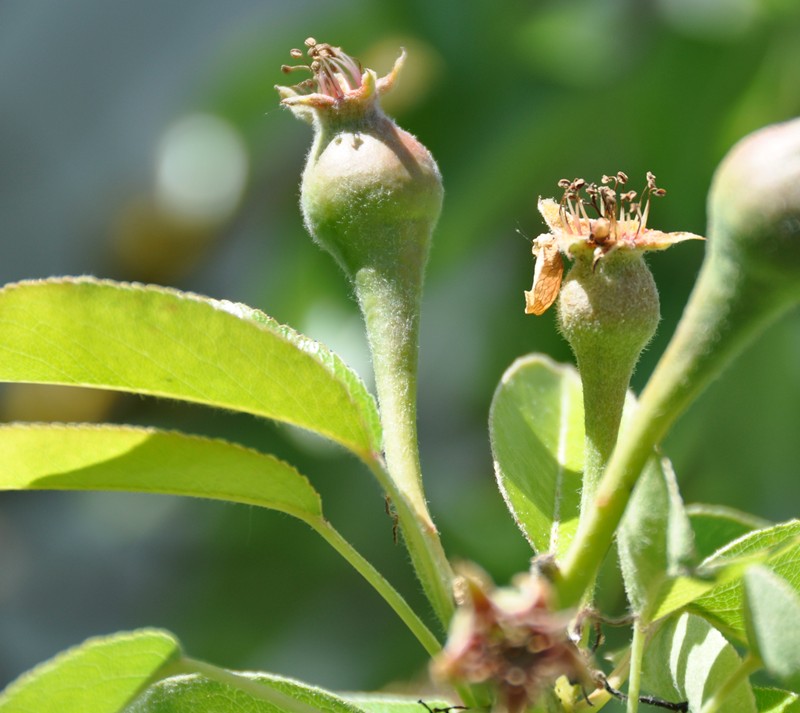
Die Befruchtung der Birnblüten ist schon vorbei und es sind doch schon echte kleine Birnen zu erkennen. Der Baum steht als Spalier an der Süd-Hauwand.
Ziemlich viel Arbeit bereitet das Herrichten der Gemüsebeete. Muss doch gelockert, gerecht und das Beet geformt werden. Auch die Schäuche der vom Computer gesteuerten Bewässerung müssen angebracht werden. Links sieht man die Kiwisträucher (glattschalige kleine sehr gute Sorte). Im Hintergrund die Appfelbäume und dahinter die Him- und Erdbeeren. Anschliessend und zuoberst von unserem Grundstück die Kompostgrube. Auf dem Kompost pflanze ich jedes Jahr Zuchetti und Kürbis, manchmal auch Pattisson.
Das Gemüsebeet mit Setzlingen versehen und mit Rasenschnitt gemulcht. Im Vordergrund "Spanier" zum angewöhnen und zwei drei "Patienten".
Wenn gewünscht könnte ich noch weitere Teile zeigen.
Möchte nun mein letztes Versprechen einlösen und euch endlich mal in unseren Garten schauen lassen. Ihr wisst, dass wir Ende April zu Hause angekommen sind, ebenfalls, dass wir zwischenzeitlich zwei Wochen Orts abwesend waren. Während dieser Zeit habe ich bei den wenigen Besuchen auch Bilder gemacht und vom sich entwickelnden Garten. Bitte Bild anklicken um zu vergrössern.
Teil 1
Das Blumenbett stand in voller Blüte. Die Tulpen, Osterglocken und Narzissen blühten zu unserem Empfang.
Die Christrosen in verschiedenen Farbvarianten waren zwar schon fast verblüht, Doch selbst nach der Vollblüte weiss diese Blume zu begeistern, selbst sogar mit dem Samenstand.
Hier orange Tulpen
Auch die Apfelbäume blühen sehr gut und das schöne Wetter lässt die Bienen fliegen vom nahen Bienenhaus. Die „Dinger“ an der Haltestange sind Stücke von Feuerwehrschläuchen, gefüllt mit Holzwolle. In dieser hausen Orschlüpfer und helfen bei der Schädlingsbekämpfung. Hier bei den Obstbäumen in erster Linie die Blattläuse.
Noch einmal ein Blick aufs Blumenbeet.
Nochmals eine Tulpe von oben.
Der Bärlauch ist „vorbei“, er blüht schon. Die schönen Blumen verschönern jeweils kleine Blumengestecke. Übrigens soll man den Bärlauch ab Blüte nicht mehr ernten. Bei mir hat es unterhalb der Altpflanzen stets Jungbärlauch von den letztjährigen Samen. Diese kleinen Pflanzen eignen sich, die Bärlauchsaison etwas zu verlängern- Hinter dem Bärlauch, noch vor dem Farn blüht auch schon die akeleiblättrige weisse Wiesenraute. Verdeckt blüht dieses Jahr auch zum ersten Mal eine rosarote.
Die Befruchtung der Birnblüten ist schon vorbei und es sind doch schon echte kleine Birnen zu erkennen. Der Baum steht als Spalier an der Süd-Hauwand.
Ziemlich viel Arbeit bereitet das Herrichten der Gemüsebeete. Muss doch gelockert, gerecht und das Beet geformt werden. Auch die Schäuche der vom Computer gesteuerten Bewässerung müssen angebracht werden. Links sieht man die Kiwisträucher (glattschalige kleine sehr gute Sorte). Im Hintergrund die Appfelbäume und dahinter die Him- und Erdbeeren. Anschliessend und zuoberst von unserem Grundstück die Kompostgrube. Auf dem Kompost pflanze ich jedes Jahr Zuchetti und Kürbis, manchmal auch Pattisson.
Das Gemüsebeet mit Setzlingen versehen und mit Rasenschnitt gemulcht. Im Vordergrund "Spanier" zum angewöhnen und zwei drei "Patienten".
Wenn gewünscht könnte ich noch weitere Teile zeigen.
Es grüsst
Rio
Zwanzig Kilometer von der Küste entfernt, fängt Spanien meist erst richtig an.
Rio
Zwanzig Kilometer von der Küste entfernt, fängt Spanien meist erst richtig an.
- Florecilla
- Administratorin u. Moderatorin

- Beiträge: 17167
- Registriert: Mi 6. Mai 2009, 08:32
- Wohnort: Rheinland / Dénia
- Kontaktdaten:
Re: Mein Garten und ich
Wie schön, Rio. Man sieht, wie viel Liebe, aber auch Arbeit in jedem einzelnen Beet steckt. Meine Hochachtung! Dein Garten erinnert mich an die Sommer meiner Kindheit. Immerzu musste irgendetwas eingepflanzt, ausgemacht, umgesetzt, geerntet, eingekocht oder eingefroren werden. Danke für dieses Déjà-vu
Gerne mehr davon ...
Gerne mehr davon ...
-
Calendula
- activo

- Beiträge: 378
- Registriert: Do 21. Apr 2011, 09:37
- Wohnort: IBI / Alicante
- Kontaktdaten:
Re: Mein Garten und ich
Hola rioja,
schön Dein Garten. Ich bewundere immer Leute die Ihren Garten so ordentlich halten können. Mir gefällt auch, dass Du mulchst und nützliche Insekten ansiedelst.
Bei mir ist alles mehr Kraut und Rüben. Die Wildkräuter dazwischen (ich lehne den Ausdruck Unkraut ab) dienen im Moment den Hühnern als Grünfutter. So werden die Beete mit der Zeit auch sauber. Ich wunder mich immer wieder, dass meine Pflanzen denen in Deutschland nicht unbedingt voraus sind. Im Moment kann ich Salat und Spinat ernten. Da ich bei langsam keimenden Gemüsen Radieschen als Markierung säe, haben wir davon auch mehr als wir essen können. Erdbeeren und Himbeeren beginnen auch so langsam.
Bilder folgen auch noch, aber da ich das lange nicht gemacht habe, muss ich erst eine gewisse Unsicherheit überwinden.
Euch allen einen schönen Tag im Garten
schön Dein Garten. Ich bewundere immer Leute die Ihren Garten so ordentlich halten können. Mir gefällt auch, dass Du mulchst und nützliche Insekten ansiedelst.
Bei mir ist alles mehr Kraut und Rüben. Die Wildkräuter dazwischen (ich lehne den Ausdruck Unkraut ab) dienen im Moment den Hühnern als Grünfutter. So werden die Beete mit der Zeit auch sauber. Ich wunder mich immer wieder, dass meine Pflanzen denen in Deutschland nicht unbedingt voraus sind. Im Moment kann ich Salat und Spinat ernten. Da ich bei langsam keimenden Gemüsen Radieschen als Markierung säe, haben wir davon auch mehr als wir essen können. Erdbeeren und Himbeeren beginnen auch so langsam.
Bilder folgen auch noch, aber da ich das lange nicht gemacht habe, muss ich erst eine gewisse Unsicherheit überwinden.
Euch allen einen schönen Tag im Garten
---
Grüßle
Calendula
Grüßle
Calendula
- Citronella
- especialista

- Beiträge: 6833
- Registriert: Do 7. Mai 2009, 20:41
- Wohnort: Jalon / Xaló - Spanien
Re: Mein Garten und ich
Hallo Rioja,
danke für den Blick über den Gartenzaun und Kompliment, deine Beete sehen wie geleckt aus. Da steckt viel Arbeit und Liebe drin
. Eine Frage habe ich noch: Was ist Pattisson?
Zeig uns ruhig mehr von deinem Garten
in dieser Zeit brauche ich nicht zu arbeiten.
Saludos
Citronella
danke für den Blick über den Gartenzaun und Kompliment, deine Beete sehen wie geleckt aus. Da steckt viel Arbeit und Liebe drin
Zeig uns ruhig mehr von deinem Garten
Saludos
Citronella
- Oliva B.
- Administratorin u. Moderatorin

- Beiträge: 22209
- Registriert: Mi 6. Mai 2009, 08:17
- Wohnort: Dort, wo die Sonne die Oliven küsst.😊
Re: Mein Garten und ich
Hallo Rio,
ganz so akkurat sind meine Gemüsebeete nicht, aber es wächst trotzdem was.
Schön sieht es bei dir aus. Ich werde mich bemühen, mir was von dir abzugucken.
Und da so viele Experten unter uns sind, gleich eine Frage:
ganz so akkurat sind meine Gemüsebeete nicht, aber es wächst trotzdem was.
Schön sieht es bei dir aus. Ich werde mich bemühen, mir was von dir abzugucken.
Saludos,
Elke (Oliva B.)
Ortsporträts aus der Provinz Alicante
Elke (Oliva B.)
Ortsporträts aus der Provinz Alicante
- Rioja
- apasionado

- Beiträge: 913
- Registriert: Mi 20. Okt 2010, 02:36
Re: Mein Garten und ich
Hallo zusammen, hallo Oliva
Ja deine Gurken stehen schon etwas dicht, vor allem die im Hintergrund. Ich würde sie etwa 50 cm auseinander pflanzen in der Reihe. Dabei darfst du schon zwei Pflänzchen zusammen pflanzen.
Teil 2
Zum vergrössern Bilder anklicken
Die Sumpfschildkröten benutzen das schöne Frühlingswetter auch zum sonnen und kriechen bevorzugt auf die Baumstämme.
Die Topfpflanzen machen sich auch gut auf der Sandsteinmauer. Die zwei Geranien und die Nelke haben uns den grössten Teil der Frühlingsferien begleitet. Wir lieben es beim Campen auch von Blumen umgeben zu sein und auf dem Tisch steht meist ein Sträusschen.
Am Hauseingang werden unsere Gäste natürlich auch mit Blumen begrüsst. Der Buchs kommt natürlich aus den Pyrenäen. Dass wir Hunde lieben ist auch ersichtlich. Der Margaritenstock blüht nun bereits zum zweiten Mal, nachdem alle verblühten Blumen entfernt wurden.
Ja, das stimmt genau, hat ja kürzlich hier jemand herausgefunden, was für ein Bösewicht ich bin.
Die rosa Baumpäonien sind dieses Jahr zu ersten Mal übervoll mit Blumen. Die Blüten haben oft über 20 cm Durchmesser. Habe auch noch gelbe. Bei den Baumpäonien verholzt der Stängel im Gegensatz zu den Pfingstrosen.
Blick auf den Sitzplatz und den Goldfischteich (vorne links) und links im Hintergrund der zweite, neuere Schildkrötenteich, umrahmt von Wildblumen (Salbei, Lichtnelken und Kuckuckslichtnelken). Der Sitzplatz ist umrahmt mit alten Granitschweinefresströgen.
Eine Blattbauchlibelle hat sich an einer gelben Schwertlilie niedergelassen und wird alsbald Eier ablegen an Hälmchen oder Stängelchen, die an der Wasseroberfläche liegen.
Natürlich haben wir auch „gewöhnliche“ Pfingstrosen, Ich mag sie, weil sie auch noch nach der Blüte mit ihrem schönen Blattwerk Freude machen.
Kriechender gelber Ginster am Rande des mediterranen Hügels. Links blüht auch eine rot/gelbe Variante und dazwischen Buchs. Natürlich darf als Topfpflanze auch ein Oleander nicht fehlen. Er überwintert im Gewächshaus.
Blick auf den Gewürzhügel. Die Wege im Gewürz- und Blumengarten sind mit Föhrenborke ausgelegt.
Einen weiteren Teil könnte ich nach dem kurzen Urlaub einstellen.
Ja deine Gurken stehen schon etwas dicht, vor allem die im Hintergrund. Ich würde sie etwa 50 cm auseinander pflanzen in der Reihe. Dabei darfst du schon zwei Pflänzchen zusammen pflanzen.
Teil 2
Zum vergrössern Bilder anklicken
Die Sumpfschildkröten benutzen das schöne Frühlingswetter auch zum sonnen und kriechen bevorzugt auf die Baumstämme.
Die Topfpflanzen machen sich auch gut auf der Sandsteinmauer. Die zwei Geranien und die Nelke haben uns den grössten Teil der Frühlingsferien begleitet. Wir lieben es beim Campen auch von Blumen umgeben zu sein und auf dem Tisch steht meist ein Sträusschen.
Am Hauseingang werden unsere Gäste natürlich auch mit Blumen begrüsst. Der Buchs kommt natürlich aus den Pyrenäen. Dass wir Hunde lieben ist auch ersichtlich. Der Margaritenstock blüht nun bereits zum zweiten Mal, nachdem alle verblühten Blumen entfernt wurden.
Ja, das stimmt genau, hat ja kürzlich hier jemand herausgefunden, was für ein Bösewicht ich bin.
Die rosa Baumpäonien sind dieses Jahr zu ersten Mal übervoll mit Blumen. Die Blüten haben oft über 20 cm Durchmesser. Habe auch noch gelbe. Bei den Baumpäonien verholzt der Stängel im Gegensatz zu den Pfingstrosen.
Blick auf den Sitzplatz und den Goldfischteich (vorne links) und links im Hintergrund der zweite, neuere Schildkrötenteich, umrahmt von Wildblumen (Salbei, Lichtnelken und Kuckuckslichtnelken). Der Sitzplatz ist umrahmt mit alten Granitschweinefresströgen.
Eine Blattbauchlibelle hat sich an einer gelben Schwertlilie niedergelassen und wird alsbald Eier ablegen an Hälmchen oder Stängelchen, die an der Wasseroberfläche liegen.
Natürlich haben wir auch „gewöhnliche“ Pfingstrosen, Ich mag sie, weil sie auch noch nach der Blüte mit ihrem schönen Blattwerk Freude machen.
Kriechender gelber Ginster am Rande des mediterranen Hügels. Links blüht auch eine rot/gelbe Variante und dazwischen Buchs. Natürlich darf als Topfpflanze auch ein Oleander nicht fehlen. Er überwintert im Gewächshaus.
Blick auf den Gewürzhügel. Die Wege im Gewürz- und Blumengarten sind mit Föhrenborke ausgelegt.
Einen weiteren Teil könnte ich nach dem kurzen Urlaub einstellen.
Es grüsst
Rio
Zwanzig Kilometer von der Küste entfernt, fängt Spanien meist erst richtig an.
Rio
Zwanzig Kilometer von der Küste entfernt, fängt Spanien meist erst richtig an.
- Citronella
- especialista

- Beiträge: 6833
- Registriert: Do 7. Mai 2009, 20:41
- Wohnort: Jalon / Xaló - Spanien
Re: Mein Garten und ich
Hallo Rio,
richtig schön, dein Spaziergang durch den Garten!
Ich bin ja nicht neugierig
aber darf ich fragen, wohin die Reise geht? Wünsche dir und deiner lieben Frau viel Spass und gute Fahrt.
Saludos
Citronella
richtig schön, dein Spaziergang durch den Garten!
Ich bin ja nicht neugierig
Saludos
Citronella
-
klausi8
Re: Mein Garten und ich
Hi, ich mag auch gut ausgestaltete Gärten - habe vor, mir bei baur noch ein bisschen paar Utensilien zu kaufen.
Dazu werde ich auf jeden Fall einen Aktionscode verwenden - da komm ich bissel billiger... das Zeug ist aber auch manchmal ganz schön teuer.
Dazu werde ich auf jeden Fall einen Aktionscode verwenden - da komm ich bissel billiger... das Zeug ist aber auch manchmal ganz schön teuer.
- Rioja
- apasionado

- Beiträge: 913
- Registriert: Mi 20. Okt 2010, 02:36
Re: Mein Garten und ich
Hallo CitronellaCitronella hat geschrieben:Hallo Rio,
richtig schön, dein Spaziergang durch den Garten!
Ich bin ja nicht neugierigaber darf ich fragen, wohin die Reise geht? Wünsche dir und deiner lieben Frau viel Spass und gute Fahrt.
Saludos
Citronella
Vielen Dank für die lieben Wünsche. Wir sind ganz oben in Catalunien in Capmany. Ab dem Campinplatz habe ich schon diverse Sonnenuntergangbilder gemacht und hier eingestellt. Da du ja gar nicht neugierig bist, möchte ich dir noch anvertrauen, dass wir dort das 55., 60. und 65 Geburtsjahr feiern von meiner Frau und deren zwei Schwestern (haben wir vor fünf Jahren schon mal gemacht). Natürlich dürfen auch wir Männer mit und zudem sind wir noch bei einer Spanierfamilie eingeladen. Da feiert die Frau ihren Geburtstag und den beginnenden Ruhestand. Sie weiss natürlich nichts und es soll eine Überraschung sein, dass ihre Schweizer Freunde sie besuchen. Habe ich nun nichts vergessen? Ach ja, drück uns die Daumen, dass das Wetter schön ist, obwohl Regen sicher auch nötig wäre.
Es grüsst
Rio
Zwanzig Kilometer von der Küste entfernt, fängt Spanien meist erst richtig an.
Rio
Zwanzig Kilometer von der Küste entfernt, fängt Spanien meist erst richtig an.
- Rioja
- apasionado

- Beiträge: 913
- Registriert: Mi 20. Okt 2010, 02:36
Re: Mein Garten und ich
Hallo Klausi8
Das freut mich natürlich, dass dir mein Garten gefällt. Wie ich grad sehe, bist du seit heute 11.51 Uhr User hier im Forum. Übrigens freuen wir uns über neue Mitglieder. Da du deinen ersten Beitrag hier beim Gartenthema geschrieben hast, könnte es sein, dass dies etwas übersehen wird. Es hat auf der Startseite im zweiten Block eine Rubrik mit Titel "Hallo ! Ich bin neu hier ..."
Wirst sehen, dass dich nach einigen Vorstellungsworten, viele User freudig begrüssen werden.
Das freut mich natürlich, dass dir mein Garten gefällt. Wie ich grad sehe, bist du seit heute 11.51 Uhr User hier im Forum. Übrigens freuen wir uns über neue Mitglieder. Da du deinen ersten Beitrag hier beim Gartenthema geschrieben hast, könnte es sein, dass dies etwas übersehen wird. Es hat auf der Startseite im zweiten Block eine Rubrik mit Titel "Hallo ! Ich bin neu hier ..."
Wirst sehen, dass dich nach einigen Vorstellungsworten, viele User freudig begrüssen werden.
Es grüsst
Rio
Zwanzig Kilometer von der Küste entfernt, fängt Spanien meist erst richtig an.
Rio
Zwanzig Kilometer von der Küste entfernt, fängt Spanien meist erst richtig an.
